$65,000
140 N L ST
Needles, CA, 92363
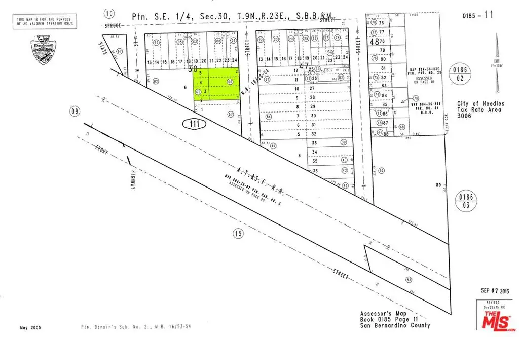
Fantastic opportunity to develop in a prime location near the Colorado River. This offering includes two adjacent parcels being sold together for a total of approximately 15,750 square feet (APN 0185-111-66 at 10,500 sqft and APN 0185-111-65 at 5,250 sqft). Zoned R3, this property allows for multi-family development with up to 30 units per acre, per city planning. Manufactured homes may also be allowed – buyer to verify with city planning. Located within one mile of the Colorado River, Rivers Edge Golf Course, and a public boat launch, this site is ideal for a personal desert retreat, Airbnb investment, or multi-unit development. The city has stated that utilities and sewer are available at the street. Easy access to major highways adds further convenience. Financing is available. Interested buyers are strongly encouraged to verify all aspects of the property, including but not limited to zoning, utilities, water, sewer, building requirements, and permitted uses. Contact listing agent for additional details.
Property Details
Price:
$65,000
MLS #:
25582101
Status:
Active
Beds:
0
Baths:
0
Type:
Land
Neighborhood:
dc770needles
Listed Date:
Aug 22, 2025
Lot Size:
15,750 sqft / 0.36 acres (approx)
Schools
Interior
Exterior
View
NO
Financial
Get Out There, A Simply Outgoing Approach to Life. James Outland Jr. is one of those rare people who simply has an outgoing approach to life. No matter the activity… from dune buggy riding to skydiving to motorcycling to riding the local Pismo Beach waves… James Outland Jr. approaches life with a “just get out there and do it” kind of attitude. A zest for Life. James’ zest for life is obviously apparent in his many exciting hobbies. In his spare time, he loves riding dune buggies or hi…
More About JamesMortgage Calculator
Map
Community
- Address140 N L ST Needles CA
- CityNeedles
- CountySan Bernardino
- Zip Code92363
Similar Listings Nearby
Property Summary
- 140 N L ST Needles CA is a Land for sale in Needles, CA, 92363. It is listed for $65,000 and features 0 acres. To schedule a showing of MLS#25582101 at 140 N L ST in Needles, CA, contact your James Outland agent at 8057482262.
Courtesy of Brokers Trust Real Estate Group. Disclaimer: All data relating to real estate for sale on this page comes from the Broker Reciprocity (BR) of the California Regional Multiple Listing Service. Detailed information about real estate listings held by brokerage firms other than James Outland include the name of the listing broker. Neither the listing company nor James Outland shall be responsible for any typographical errors, misinformation, misprints and shall be held totally harmless. The Broker providing this data believes it to be correct, but advises interested parties to confirm any item before relying on it in a purchase decision. Copyright 2026. California Regional Multiple Listing Service. All rights reserved. 140 N L ST
Needles, CA






