$34,999
125th E ST Lot 3
Littlerock, CA, 93543
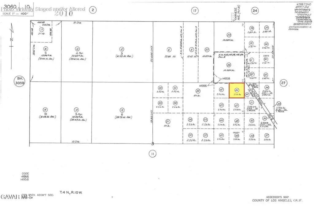
APN: 3060-010-046 Coordinates: 34.466056, -117.907889 2.58 Acre parcel for sale in LA County. This lot is located on 15th St E and E Ave X-15 in Littlerock, CA. Excellent rural location zoned for agricultural use. Make this the site of your dream home.
Property Details
Price:
$34,999
MLS #:
IV26066891
Status:
Active
Beds:
0
Baths:
0
Type:
Land
Neighborhood:
lrklittlerock
Listed Date:
Mar 27, 2026
Lot Size:
112,236 sqft / 2.58 acres (approx)
Schools
Interior
Exterior
Community Features
RUR
View
DE, HI, MT
Financial
Get Out There, A Simply Outgoing Approach to Life. James Outland Jr. is one of those rare people who simply has an outgoing approach to life. No matter the activity… from dune buggy riding to skydiving to motorcycling to riding the local Pismo Beach waves… James Outland Jr. approaches life with a “just get out there and do it” kind of attitude. A zest for Life. James’ zest for life is obviously apparent in his many exciting hobbies. In his spare time, he loves riding dune buggies or hi…
More About JamesMortgage Calculator
Map
Current real estate data for Land in Littlerock as of Apr 19, 2026
70
Land Listed
283
Avg DOM
$247,855
Avg List Price
Community
- Address125th E ST Lot 3 Littlerock CA
- CityLittlerock
- CountyLos Angeles
- Zip Code93543
Similar Listings Nearby
Property Summary
- 125th E ST Lot 3 Littlerock CA is a Land for sale in Littlerock, CA, 93543. It is listed for $34,999 and features 3 acres. To schedule a showing of MLS#iv26066891 at 125th E ST Lot 3 in Littlerock, CA, contact your James Outland agent at 8057482262.
Courtesy of HOME & LAND SOURCE. Disclaimer: All data relating to real estate for sale on this page comes from the Broker Reciprocity (BR) of the California Regional Multiple Listing Service. Detailed information about real estate listings held by brokerage firms other than James Outland include the name of the listing broker. Neither the listing company nor James Outland shall be responsible for any typographical errors, misinformation, misprints and shall be held totally harmless. The Broker providing this data believes it to be correct, but advises interested parties to confirm any item before relying on it in a purchase decision. Copyright 2026. California Regional Multiple Listing Service. All rights reserved. 125th E ST Lot 3
Littlerock, CA

















