$8,000
2459 Sea Bonita AV
Thermal, CA, 92274
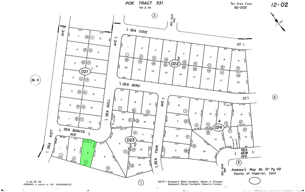
The address associated with this parcel is 2459 Sea Bonita Avenue, Salton City CA 92274. What is reflected is the Parcel# 012-023-003-000 which is +/-0.2484Acres. Zoning is R-1. Located in the area of Salton City which is Unincorporated Imperial County. Access via dirt Sea Bonita Avenue.
Property Details
Price:
$8,000
MLS #:
IG25133974
Status:
Active
Beds:
0
Baths:
0
Type:
Land
Neighborhood:
316thermal
Listed Date:
Jun 15, 2025
Lot Size:
10,820 sqft / 0.25 acres (approx)
Schools
Interior
Exterior
Community Features
RUR
Financial
Get Out There, A Simply Outgoing Approach to Life. James Outland Jr. is one of those rare people who simply has an outgoing approach to life. No matter the activity… from dune buggy riding to skydiving to motorcycling to riding the local Pismo Beach waves… James Outland Jr. approaches life with a “just get out there and do it” kind of attitude. A zest for Life. James’ zest for life is obviously apparent in his many exciting hobbies. In his spare time, he loves riding dune buggies or hi…
More About JamesMortgage Calculator
Map
Community
- Address2459 Sea Bonita AV Thermal CA
- SubdivisionOther (OTHR)
- CityThermal
- CountyImperial
- Zip Code92274
Similar Listings Nearby
Property Summary
- Located in the Other (OTHR) subdivision, 2459 Sea Bonita AV Thermal CA is a Land for sale in Thermal, CA, 92274. It is listed for $8,000 and features 0 acres. To schedule a showing of MLS#ig25133974 at 2459 Sea Bonita AV in Thermal, CA, contact your James Outland agent at 8057482262.
Courtesy of KELLER WILLIAMS REALTY. Disclaimer: All data relating to real estate for sale on this page comes from the Broker Reciprocity (BR) of the California Regional Multiple Listing Service. Detailed information about real estate listings held by brokerage firms other than James Outland include the name of the listing broker. Neither the listing company nor James Outland shall be responsible for any typographical errors, misinformation, misprints and shall be held totally harmless. The Broker providing this data believes it to be correct, but advises interested parties to confirm any item before relying on it in a purchase decision. Copyright 2026. California Regional Multiple Listing Service. All rights reserved. 2459 Sea Bonita AV
Thermal, CA



