$10,000
14951 Arlight TR
Santa Margarita, CA, 93453
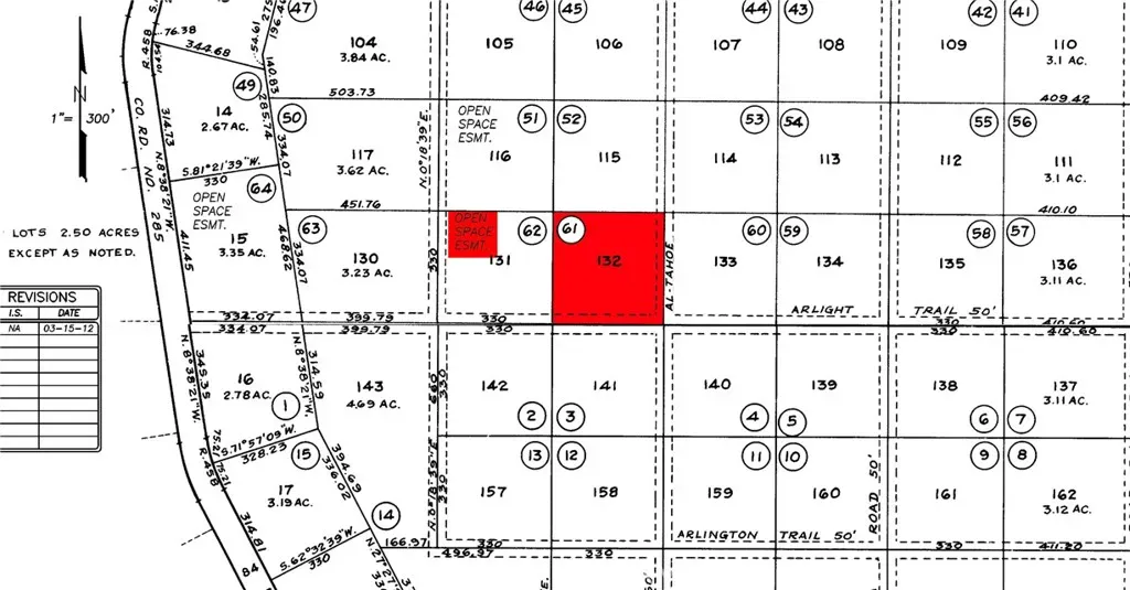
2.5-acre CORNER lot near Hills that is easy to get to from maintained Elkhorn Rd WITH VERY DARK SOIL & GRASSES. A wonderful private lot next to an OPEN SPACE area on the West =NO neighbor. Walking distance to trials that allow you to Ride a Horse, Hike, or take your off-road Motorcycles or Hunt in the nearby BLM Hills. The amazing 360° views will astonish you from this amazing location. Great for a vacation getaway or build your dream home. Manufactured homes okay. ADDRESS NUMBER IS ESTIMATED & NOT EXACT Contact agent for precise maps and directions. 35.300554, -119.850081 APN: 084-051-061
Property Details
Price:
$10,000
MLS #:
PI26060570
Status:
Active
Beds:
0
Baths:
0
Type:
Land
Subdivision:
Carrizo Plains/California Valley62
Neighborhood:
smrgsantamargarita
Listed Date:
Mar 19, 2026
Lot Size:
108,900 sqft / 2.50 acres (approx)
Schools
Interior
Exterior
Community Features
RUR, VLY, BLM, FHL, HRS, HNT, MTN, LAKE, HIKI
Fencing
NO
View
HI, MT, PA
Financial
Tax Year
2026
Taxes
$100
Get Out There, A Simply Outgoing Approach to Life. James Outland Jr. is one of those rare people who simply has an outgoing approach to life. No matter the activity… from dune buggy riding to skydiving to motorcycling to riding the local Pismo Beach waves… James Outland Jr. approaches life with a “just get out there and do it” kind of attitude. A zest for Life. James’ zest for life is obviously apparent in his many exciting hobbies. In his spare time, he loves riding dune buggies or hi…
More About JamesMortgage Calculator
Map
Current real estate data for Land in Santa Margarita as of Apr 06, 2026
49
Land Listed
248
Avg DOM
$135,783
Avg List Price
Community
- Address14951 Arlight TR Santa Margarita CA
- SubdivisionCarrizo Plains/California Valley(62)
- CitySanta Margarita
- CountySan Luis Obispo
- Zip Code93453
Similar Listings Nearby
Property Summary
- Located in the Carrizo Plains/California Valley(62) subdivision, 14951 Arlight TR Santa Margarita CA is a Land for sale in Santa Margarita, CA, 93453. It is listed for $10,000 and features 3 acres. To schedule a showing of MLS#pi26060570 at 14951 Arlight TR in Santa Margarita, CA, contact your James Outland agent at 8057482262.
Courtesy of David Norwood Central Coast Real Estate. Disclaimer: All data relating to real estate for sale on this page comes from the Broker Reciprocity (BR) of the California Regional Multiple Listing Service. Detailed information about real estate listings held by brokerage firms other than James Outland include the name of the listing broker. Neither the listing company nor James Outland shall be responsible for any typographical errors, misinformation, misprints and shall be held totally harmless. The Broker providing this data believes it to be correct, but advises interested parties to confirm any item before relying on it in a purchase decision. Copyright 2026. California Regional Multiple Listing Service. All rights reserved. 14951 Arlight TR
Santa Margarita, CA










