$19,900,000
1440 N 1st ST
San Jose, CA, 95112
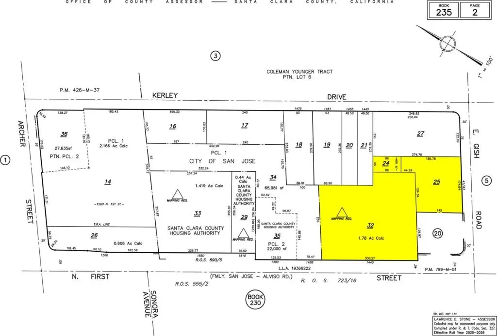
This sale includes three contiguous parcels totaling approximately 2.51 acres of prime land located just half a mile from San Jose Mineta International Airport and less than three miles from Downtown San Jose and San Jose State University. *** 1440 N 1st St (APN: 235-02-032) — 1.78 acres, currently San Jose Airport Inn *** 41 E Gish Rd (APN: 235-02-025) — 0.63 acres, currently two commercial buildings *** APN: 235-02-024 — 0.10 acres, used as a parking lot *** Situated directly across from VTA,s Light Rail Gish Station *** Zoned as Urban Village with up to 250* DU/AC (Dwelling Units per Acre) and a Floor Area Ratio of 10.0 (10 times larger than the total lot area). *** Estimated 28,000+ vehicles and pedestrians passing daily along North First Street, the property enjoys exceptional visibility and strong potential for retail or mixed-use activation. *** Exceptional development potential in a highly visible and convenient location.
Property Details
Price:
$19,900,000
MLS #:
ML82026193
Status:
Active
Beds:
0
Baths:
0
Type:
Commercial
Neighborhood:
699notdefined
Listed Date:
Oct 29, 2025
Lot Size:
109,336 sqft / 2.51 acres (approx)
Schools
School District:
San Jose Unified
Interior
Exterior
Financial
Get Out There, A Simply Outgoing Approach to Life. James Outland Jr. is one of those rare people who simply has an outgoing approach to life. No matter the activity… from dune buggy riding to skydiving to motorcycling to riding the local Pismo Beach waves… James Outland Jr. approaches life with a “just get out there and do it” kind of attitude. A zest for Life. James’ zest for life is obviously apparent in his many exciting hobbies. In his spare time, he loves riding dune buggies or hi…
More About JamesMortgage Calculator
Map
Current real estate data for Commercial in San Jose as of Apr 11, 2026
88
Commercial Listed
185
Avg DOM
$2,846,591
Avg List Price
Community
- Address1440 N 1st ST San Jose CA
- CitySan Jose
- CountySanta Clara
- Zip Code95112
Similar Listings Nearby
Property Summary
- 1440 N 1st ST San Jose CA is a Commercial for sale in San Jose, CA, 95112. It is listed for $19,900,000 To schedule a showing of MLS#ml82026193 at 1440 N 1st ST in San Jose, CA, contact your James Outland agent at 8057482262.
Courtesy of Green Banker Realty. Disclaimer: All data relating to real estate for sale on this page comes from the Broker Reciprocity (BR) of the California Regional Multiple Listing Service. Detailed information about real estate listings held by brokerage firms other than James Outland include the name of the listing broker. Neither the listing company nor James Outland shall be responsible for any typographical errors, misinformation, misprints and shall be held totally harmless. The Broker providing this data believes it to be correct, but advises interested parties to confirm any item before relying on it in a purchase decision. Copyright 2026. California Regional Multiple Listing Service. All rights reserved. 1440 N 1st ST
San Jose, CA











