$5,500,000
161 S Hamilton BL
Pomona, CA, 91766
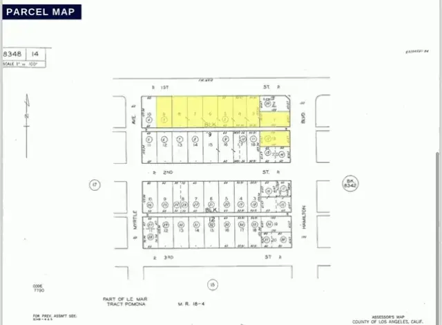
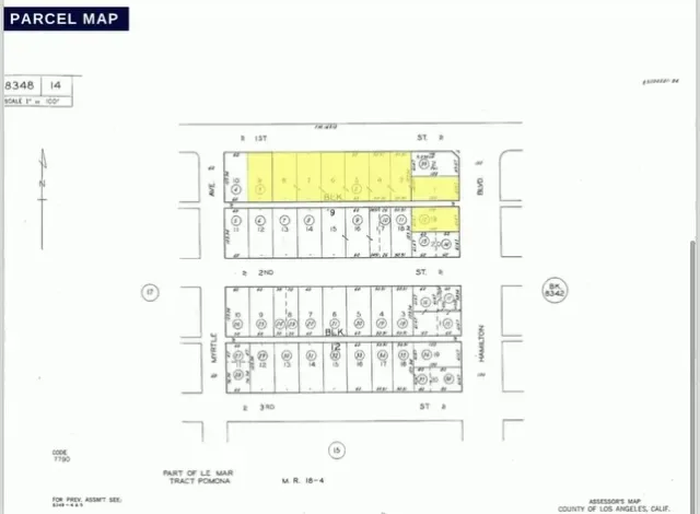
Unlock the potential of this rare Heavy Industrial land opportunity in Pomona, CA. Comprising two adjacent parcels totaling 1.3 acres (± 57,148 SF), this strategically located property is currently utilized for auto dismantling and wrecking, featuring a fully operational paint booth. Situated at the intersection of S Hamilton Blvd and W 1st St, this site benefits from high visibility and easy access.
Key Features:
Building Size: ± 3,132 SF
Lot Size: ± 57,148 SF (1.3 AC)
Corner Streets: S Hamilton Blvd & W 1st St
Year Built: 1939
Property Type: Industrial Land
Zoning: POM2/POM
APN: 8348-014-002, 8348-014-012
Current Use: Auto Dismantling/Wrecking with Paint Booth
Opportunity Zone: Yes
Highlights:
Rare Find: Heavy Industrial zoning in a highly sought-after area
Versatile Use: Ideal for continued auto dismantling or other heavy industrial operations
Development Potential: Opportunity Zone benefits offer tax incentives for future development
Recent Phase I & Phase II Reports
Don’t miss this exceptional chance to acquire a hard-to-find heavy industrial property with established use and significant growth potential.
Buyer to do their own diligence and investigations
Key Features:
Building Size: ± 3,132 SF
Lot Size: ± 57,148 SF (1.3 AC)
Corner Streets: S Hamilton Blvd & W 1st St
Year Built: 1939
Property Type: Industrial Land
Zoning: POM2/POM
APN: 8348-014-002, 8348-014-012
Current Use: Auto Dismantling/Wrecking with Paint Booth
Opportunity Zone: Yes
Highlights:
Rare Find: Heavy Industrial zoning in a highly sought-after area
Versatile Use: Ideal for continued auto dismantling or other heavy industrial operations
Development Potential: Opportunity Zone benefits offer tax incentives for future development
Recent Phase I & Phase II Reports
Don’t miss this exceptional chance to acquire a hard-to-find heavy industrial property with established use and significant growth potential.
Buyer to do their own diligence and investigations
Property Details
Price:
$5,500,000
MLS #:
CV24167131
Status:
Active Under Contract
Beds:
0
Baths:
0
Type:
Commercial
Subtype:
Industrial
Neighborhood:
687pomona
Listed Date:
Aug 20, 2025
Total Sq Ft:
3,132
Lot Size:
57,148 sqft / 1.31 acres (approx)
Year Built:
1939
Schools
Interior
Cooling
DUC
Heating
DUC
Laundry Features
NO
Exterior
Financial
Get Out There, A Simply Outgoing Approach to Life. James Outland Jr. is one of those rare people who simply has an outgoing approach to life. No matter the activity… from dune buggy riding to skydiving to motorcycling to riding the local Pismo Beach waves… James Outland Jr. approaches life with a “just get out there and do it” kind of attitude. A zest for Life. James’ zest for life is obviously apparent in his many exciting hobbies. In his spare time, he loves riding dune buggies or hi…
More About JamesMortgage Calculator
Map
Current real estate data for Commercial in Pomona as of Feb 14, 2026
37
Commercial Listed
160
Avg DOM
$1,966,636
Avg List Price
Community
- Address161 S Hamilton BL Pomona CA
- CityPomona
- CountyLos Angeles
- Zip Code91766
Similar Listings Nearby
Property Summary
- 161 S Hamilton BL Pomona CA is a Commercial for sale in Pomona, CA, 91766. It is listed for $5,500,000 To schedule a showing of MLS#cv24167131 at 161 S Hamilton BL in Pomona, CA, contact your James Outland agent at 8057482262.
Courtesy of AGENCY 8 REAL ESTATE GROUP. Disclaimer: All data relating to real estate for sale on this page comes from the Broker Reciprocity (BR) of the California Regional Multiple Listing Service. Detailed information about real estate listings held by brokerage firms other than James Outland include the name of the listing broker. Neither the listing company nor James Outland shall be responsible for any typographical errors, misinformation, misprints and shall be held totally harmless. The Broker providing this data believes it to be correct, but advises interested parties to confirm any item before relying on it in a purchase decision. Copyright 2026. California Regional Multiple Listing Service. All rights reserved. 161 S Hamilton BL
Pomona, CA

















