$675,000
Vac/Rayburn Rd/Vic Tierra Subi Lot S34
Palmdale, CA, 93550
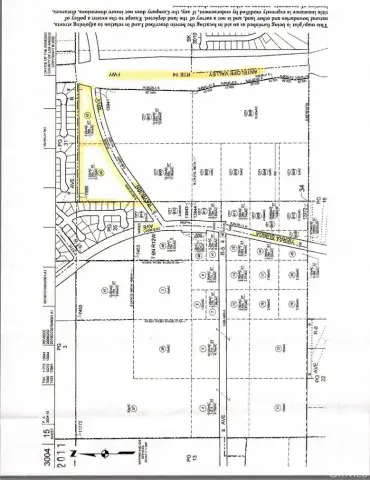
THIS IS A RARE OPPORTUNITY. Over 10 Acres Zoned COMMERCIAL in the city of Palmdale AND RIGHT ON THE FREEWAY! Two Separate Contiguous Parcels being sold together. Zoned RC, Regional Commercial and Suitable for Retail, Office, Hotel, Mini-Storage, Gas Station, Car Wash and more. Buyer to confirm with the City of Palmdale to confirm what uses will be allowed. Not only Adjacent to AV Freeway but also to Residential Development to the north and west. There are Block walls on two sides. All Utilities available. Close to Major Shopping Outlets and Community Shopping Centers, the Palmdale Business Park and the Palmdale Regional Hospital. Lots of development options. Don’t miss this rare opportunity. APNs 3004-015-042 and 043.
Property Details
Price:
$675,000
MLS #:
SR25188226
Status:
Active
Beds:
0
Baths:
0
Type:
Land
Neighborhood:
plmpalmdale
Listed Date:
Aug 20, 2025
Lot Size:
311,450 sqft / 7.15 acres (approx)
Schools
Interior
Exterior
Community Features
FHL
View
HI, VA
Financial
Get Out There, A Simply Outgoing Approach to Life. James Outland Jr. is one of those rare people who simply has an outgoing approach to life. No matter the activity… from dune buggy riding to skydiving to motorcycling to riding the local Pismo Beach waves… James Outland Jr. approaches life with a “just get out there and do it” kind of attitude. A zest for Life. James’ zest for life is obviously apparent in his many exciting hobbies. In his spare time, he loves riding dune buggies or hi…
More About JamesMortgage Calculator
Map
Community
- AddressVac/Rayburn Rd/Vic Tierra Subi Lot S34 Palmdale CA
- CityPalmdale
- CountyLos Angeles
- Zip Code93550
Similar Listings Nearby
Property Summary
- Vac/Rayburn Rd/Vic Tierra Subi Lot S34 Palmdale CA is a Land for sale in Palmdale, CA, 93550. It is listed for $675,000 and features 7 acres. To schedule a showing of MLS#sr25188226 at Vac/Rayburn Rd/Vic Tierra Subi Lot S34 in Palmdale, CA, contact your James Outland agent at 8057482262.
Courtesy of The Real Estate Place. Disclaimer: All data relating to real estate for sale on this page comes from the Broker Reciprocity (BR) of the California Regional Multiple Listing Service. Detailed information about real estate listings held by brokerage firms other than James Outland include the name of the listing broker. Neither the listing company nor James Outland shall be responsible for any typographical errors, misinformation, misprints and shall be held totally harmless. The Broker providing this data believes it to be correct, but advises interested parties to confirm any item before relying on it in a purchase decision. Copyright 2026. California Regional Multiple Listing Service. All rights reserved. Vac/Rayburn Rd/Vic Tierra Subi Lot S34
Palmdale, CA

























