$4,000,000
Pearblossom Hwy
Palmdale, CA, 93552
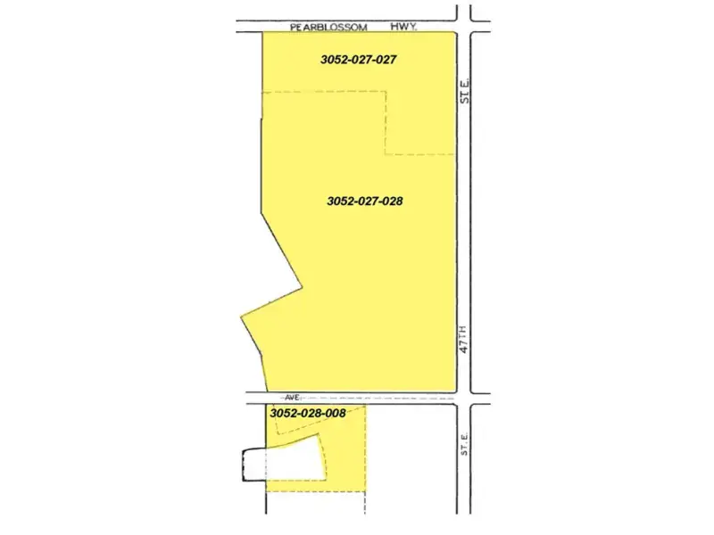
The subject property consists of approximately 80 acres located on the southwest corner of Pearblossom Highway and 47th E Street in Palmdale, California. The property is located in Los Angeles County a part of the Antelope Valley Plan and is relatively flat in topography with significant frontage on 47th St E as well as Pearblossom Hwy. Adjacent to the property’s easterly border is property owned by Antelope Valley Union High School District with plans for future high school. To the south of the property is vacant land, to the west there is an existing residential community, and to the north there is a vacant parcel as well as several medium density residential communities. The property is zoned MXD – RU (Rural Mixed Use Development Zone) with a MU-R (Mixed Use-Rural) land use designation which allows for a wide range of potential uses. The property has a recently expired Tentative Map for a large scale mixed use project. Current zoning will allow for the development of various residential product types with a maximum density of up to 5 DU/AC.
NOTE: Asking price includes the assumption of the gas station user contract. Please reach out for more information.
NOTE: Asking price includes the assumption of the gas station user contract. Please reach out for more information.
Property Details
Price:
$4,000,000
MLS #:
IV25181913
Status:
Active
Beds:
0
Baths:
0
Type:
Land
Neighborhood:
plmpalmdale
Listed Date:
Aug 12, 2025
Lot Size:
3,484,800 sqft / 80.00 acres (approx)
Schools
Interior
Exterior
Community Features
VLY
Financial
Get Out There, A Simply Outgoing Approach to Life. James Outland Jr. is one of those rare people who simply has an outgoing approach to life. No matter the activity… from dune buggy riding to skydiving to motorcycling to riding the local Pismo Beach waves… James Outland Jr. approaches life with a “just get out there and do it” kind of attitude. A zest for Life. James’ zest for life is obviously apparent in his many exciting hobbies. In his spare time, he loves riding dune buggies or hi…
More About JamesMortgage Calculator
Map
Community
- AddressPearblossom Hwy Palmdale CA
- CityPalmdale
- CountyLos Angeles
- Zip Code93552
Similar Listings Nearby
Property Summary
- Pearblossom Hwy Palmdale CA is a Land for sale in Palmdale, CA, 93552. It is listed for $4,000,000 and features 80 acres. To schedule a showing of MLS#iv25181913 at Pearblossom Hwy in Palmdale, CA, contact your James Outland agent at 8057482262.
Courtesy of COLDWELL BANKER COMMERCIAL SC. Disclaimer: All data relating to real estate for sale on this page comes from the Broker Reciprocity (BR) of the California Regional Multiple Listing Service. Detailed information about real estate listings held by brokerage firms other than James Outland include the name of the listing broker. Neither the listing company nor James Outland shall be responsible for any typographical errors, misinformation, misprints and shall be held totally harmless. The Broker providing this data believes it to be correct, but advises interested parties to confirm any item before relying on it in a purchase decision. Copyright 2026. California Regional Multiple Listing Service. All rights reserved. Pearblossom Hwy
Palmdale, CA






