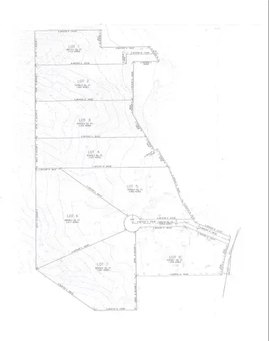
The portfolio comprises two contiguous parcels: 537 Cloverleaf Dr. (APN: 8503-001-029) — approximately 4.88 acres with a 2,683 SF dwelling AND 539 Cloverleaf Dr. (APN: 8503-002-008) — approximately 14.97 acres with a 2,390 SF dwelling
Together, the combined 19.85-acre property provides utilities on site. According to recent surveyor analysis, there is potential for 6 to 8 luxury single-family home lots. The optimal layout would likely include six primary lots, while two additional lots could be achieved with more complex hillside grading and retaining solutions.
Set amid the natural beauty of Monrovia’s hillside neighborhoods and just minutes from Old Town Monrovia, schools, and major transportation corridors, this property blends immediate income stability with long-term development potential—a rare combination in one of the San Gabriel Valley’s most desirable submarkets. All provided information should be confirmed by any interested parties.
Property Details
Schools
Interior
Exterior
Financial
Get Out There, A Simply Outgoing Approach to Life. James Outland Jr. is one of those rare people who simply has an outgoing approach to life. No matter the activity… from dune buggy riding to skydiving to motorcycling to riding the local Pismo Beach waves… James Outland Jr. approaches life with a “just get out there and do it” kind of attitude. A zest for Life. James’ zest for life is obviously apparent in his many exciting hobbies. In his spare time, he loves riding dune buggies or hi…
More About JamesMortgage Calculator
Map
Community
- Address537 Cloverleaf Dr Monrovia CA
- CityMonrovia
- CountyLos Angeles
- Zip Code91016
Similar Listings Nearby
Property Summary
- 537 Cloverleaf Dr Monrovia CA is a Single Family for sale in Monrovia, CA, 91016. It is listed for $3,980,000 and features 0 beds, 0 baths, and has approximately 0 square feet of living space.The average price per square foot for Single Family listings in Monrovia is $429. The average listing price for Single Family in Monrovia is $967,971. To schedule a showing of MLS#ar25241101 at 537 Cloverleaf Dr in Monrovia, CA, contact your James Outland agent at 8057482262.
Courtesy of Long Dragon Realty Group, Inc.. Disclaimer: All data relating to real estate for sale on this page comes from the Broker Reciprocity (BR) of the California Regional Multiple Listing Service. Detailed information about real estate listings held by brokerage firms other than James Outland include the name of the listing broker. Neither the listing company nor James Outland shall be responsible for any typographical errors, misinformation, misprints and shall be held totally harmless. The Broker providing this data believes it to be correct, but advises interested parties to confirm any item before relying on it in a purchase decision. Copyright 2026. California Regional Multiple Listing Service. All rights reserved. The portfolio comprises two contiguous parcels: 537 Cloverleaf Dr. (APN: 8503-001-029) — approximately 4.88 acres with a 2,683 SF dwelling AND 539 Cloverleaf Dr. (APN: 8503-002-008) — approximately 14.97 acres with a 2,390 SF dwelling
Together, the combined 19.85-acre property provides utilities on site. According to recent surveyor analysis, there is potential for 6 to 8 luxury single-family home lots. The optimal layout would likely include six primary lots, while two additional lots could be achieved with more complex hillside grading and retaining solutions.
Set amid the natural beauty of Monrovia’s hillside neighborhoods and just minutes from Old Town Monrovia, schools, and major transportation corridors, this property blends immediate income stability with long-term development potential—a rare combination in one of the San Gabriel Valley’s most desirable submarkets. All provided information should be confirmed by any interested parties.
Property Details
Schools
Interior
Exterior
Financial
Get Out There, A Simply Outgoing Approach to Life. James Outland Jr. is one of those rare people who simply has an outgoing approach to life. No matter the activity… from dune buggy riding to skydiving to motorcycling to riding the local Pismo Beach waves… James Outland Jr. approaches life with a “just get out there and do it” kind of attitude. A zest for Life. James’ zest for life is obviously apparent in his many exciting hobbies. In his spare time, he loves riding dune buggies or hi…
More About JamesMortgage Calculator
Map
Community
- Address537 Cloverleaf Dr Monrovia CA
- CityMonrovia
- CountyLos Angeles
- Zip Code91016
Similar Listings Nearby
Property Summary
- 537 Cloverleaf Dr Monrovia CA is a Land for sale in Monrovia, CA, 91016. It is listed for $3,980,000 and features 20 acres. To schedule a showing of MLS#ar25241292 at 537 Cloverleaf Dr in Monrovia, CA, contact your James Outland agent at 8057482262.














