$747,750
1192 E Gerard AV
Merced, CA, 95341
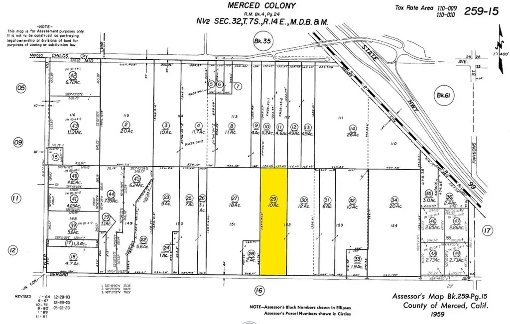
Here is a 9.97 acre almond ranch with industrial development potential for sale! The nonpareil and carmel almonds were planted in 2006 and the ranch is situated in southeast Merced. This parcel is close to city limits and Hwy 99/UC Merced Campus Expressway, an area anticipated for significant growth and development. The city sewer lines are accessible at Gerard Ave, with future City plans to extend additional utilities to Mission Ave to support new developments. The vicinity is experiencing robust expansion near Mission Ave and retail growth at the new Gateway Marketplace by Hwy 99. This land is zoned M-2 for heavy industrial/manufacturing uses and align with the City of Merced’s General Plan for industrial development. The irrigation is currently via a double line drip irrigation system and the ranch is within the Merced Irrigation District for access to Class I district water. However, their current irrigation comes from a well situated across the road on the owner’s separate ranch. The seller would be open to a well sharing agreement to continue existing irrigation. Make this ranch your homesite or plan for future development! The property is within the Merced Irrigation District-Urban Ground Water Sustainability Agency (MIUGSA). For more information on SGMA, go to www.sgma.water.ca.gov/portal/. The ownership is also open to selling all lots together.
Property Details
Price:
$747,750
MLS #:
MC24179436
Status:
Active
Beds:
0
Baths:
0
Type:
Land
Listed Date:
Aug 30, 2024
Lot Size:
434,293 sqft / 9.97 acres (approx)
Schools
Interior
Exterior
Community Features
RUR
Financial
Get Out There, A Simply Outgoing Approach to Life. James Outland Jr. is one of those rare people who simply has an outgoing approach to life. No matter the activity… from dune buggy riding to skydiving to motorcycling to riding the local Pismo Beach waves… James Outland Jr. approaches life with a “just get out there and do it” kind of attitude. A zest for Life. James’ zest for life is obviously apparent in his many exciting hobbies. In his spare time, he loves riding dune buggies or hi…
More About JamesMortgage Calculator
Map
Community
- Address1192 E Gerard AV Merced CA
- CityMerced
- CountyMerced
- Zip Code95341
Similar Listings Nearby
Property Summary
- 1192 E Gerard AV Merced CA is a Land for sale in Merced, CA, 95341. It is listed for $747,750 and features 10 acres. To schedule a showing of MLS#mc24179436 at 1192 E Gerard AV in Merced, CA, contact your James Outland agent at 8057482262.
Courtesy of Keller Williams Property Team. Disclaimer: All data relating to real estate for sale on this page comes from the Broker Reciprocity (BR) of the California Regional Multiple Listing Service. Detailed information about real estate listings held by brokerage firms other than James Outland include the name of the listing broker. Neither the listing company nor James Outland shall be responsible for any typographical errors, misinformation, misprints and shall be held totally harmless. The Broker providing this data believes it to be correct, but advises interested parties to confirm any item before relying on it in a purchase decision. Copyright 2026. California Regional Multiple Listing Service. All rights reserved. 1192 E Gerard AV
Merced, CA









