$137,000
1335 15th ST
Los Osos, CA, 93402
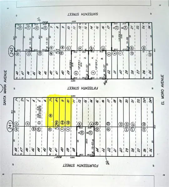
This is an opportunity to purchase a 12,500 sq. ft. unimproved parcel in the bayside community of Los Osos. This is a bulk sale consisting of four adjoining 25’ X 125’ lots to be sold together, equaling 100’ of street frontage. With distant views of the bay, sand dunes, and surrounding hills from street level, it is sure to be a terrific homesite when building is permitted. You’ll be a part of a wonderful community offering a coastal lifestyle along with all the amenities this area has to offer. One of the lots is #211 on the Los Osos Waitlist for Building Permits and lot size says 12,500 sq ft. Check with SLO County Dept of Planning & Building to investigate the potential of building on vacant lots in Los Osos. You’ll find some great information at https://www.slocounty.ca.gov/departments/planning-building/grid-items/communities-villages/los-osos
Property Details
Price:
$137,000
MLS #:
SC25088934
Status:
Active
Beds:
0
Baths:
0
Type:
Land
Subdivision:
Town of El Moro680
Neighborhood:
ososlososos
Listed Date:
Nov 25, 2025
Lot Size:
12,500 sqft / 0.29 acres (approx)
Schools
Interior
Exterior
Community Features
HRS, GOLF, PARK, HIKI, BIKI
Financial
Get Out There, A Simply Outgoing Approach to Life. James Outland Jr. is one of those rare people who simply has an outgoing approach to life. No matter the activity… from dune buggy riding to skydiving to motorcycling to riding the local Pismo Beach waves… James Outland Jr. approaches life with a “just get out there and do it” kind of attitude. A zest for Life. James’ zest for life is obviously apparent in his many exciting hobbies. In his spare time, he loves riding dune buggies or hi…
More About JamesMortgage Calculator
Map
Community
- Address1335 15th ST Los Osos CA
- SubdivisionTown of El Moro(680)
- CityLos Osos
- CountySan Luis Obispo
- Zip Code93402
Subdivisions in Los Osos
Similar Listings Nearby
Property Summary
- Located in the Town of El Moro(680) subdivision, 1335 15th ST Los Osos CA is a Land for sale in Los Osos, CA, 93402. It is listed for $137,000 and features 0 acres. To schedule a showing of MLS#sc25088934 at 1335 15th ST in Los Osos, CA, contact your James Outland agent at 8057482262.
Courtesy of Century 21 Masters. Disclaimer: All data relating to real estate for sale on this page comes from the Broker Reciprocity (BR) of the California Regional Multiple Listing Service. Detailed information about real estate listings held by brokerage firms other than James Outland include the name of the listing broker. Neither the listing company nor James Outland shall be responsible for any typographical errors, misinformation, misprints and shall be held totally harmless. The Broker providing this data believes it to be correct, but advises interested parties to confirm any item before relying on it in a purchase decision. Copyright 2026. California Regional Multiple Listing Service. All rights reserved. 1335 15th ST
Los Osos, CA

















