$2,500,000
6200 Crenshaw BL
Los Angeles, CA, 90043
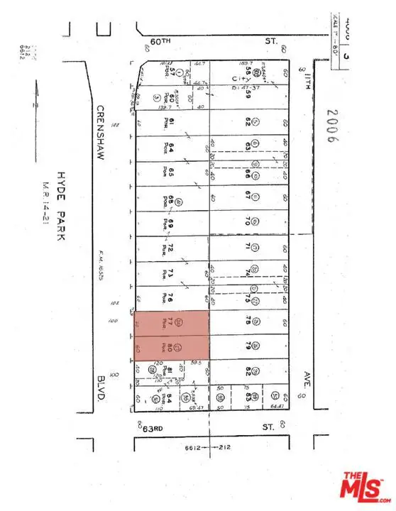
This 21,555-square-foot site boasts 120 linear feet of frontage along Crenshaw Blvd. and is located just two blocks from the Slauson/Crenshaw Metro stop. The property currently includes a vacant storage unit and a billboard situated at the southwestern corner of the lot. This flat parcel is designated as a Tier 3 Transit-Oriented Community (TOC) area, benefiting from density bonuses, reduced parking requirements, and setback allowances. The adjacent parcel, 6216 Crenshaw Blvd, parcel number4006-003-028, can also be purchased. This will add 4,800sfof land to the project increasing density and facilitating the build. Both lots total 26,355 square feet. Call listing agents for offering memorandum and additional info. Agent Remarks : Call listing agents for offering memorandum and additional info.
Property Details
Price:
$2,500,000
MLS #:
26646917
Status:
Active
Beds:
0
Baths:
0
Type:
Land
Neighborhood:
phhtparkhillsheights
Listed Date:
Feb 11, 2026
Lot Size:
21,555 sqft / 0.49 acres (approx)
Schools
Interior
Exterior
View
CI
Financial
Get Out There, A Simply Outgoing Approach to Life. James Outland Jr. is one of those rare people who simply has an outgoing approach to life. No matter the activity… from dune buggy riding to skydiving to motorcycling to riding the local Pismo Beach waves… James Outland Jr. approaches life with a “just get out there and do it” kind of attitude. A zest for Life. James’ zest for life is obviously apparent in his many exciting hobbies. In his spare time, he loves riding dune buggies or hi…
More About JamesMortgage Calculator
Map
Current real estate data for Land in Los Angeles as of Apr 06, 2026
454
Land Listed
155
Avg DOM
$1,547,352
Avg List Price
Community
- Address6200 Crenshaw BL Los Angeles CA
- CityLos Angeles
- CountyLos Angeles
- Zip Code90043
Similar Listings Nearby
Property Summary
- 6200 Crenshaw BL Los Angeles CA is a Land for sale in Los Angeles, CA, 90043. It is listed for $2,500,000 and features 0 acres. To schedule a showing of MLS#26646917 at 6200 Crenshaw BL in Los Angeles, CA, contact your James Outland agent at 8057482262.
Courtesy of Lyon Stahl Investment Real Estate, Inc.. Disclaimer: All data relating to real estate for sale on this page comes from the Broker Reciprocity (BR) of the California Regional Multiple Listing Service. Detailed information about real estate listings held by brokerage firms other than James Outland include the name of the listing broker. Neither the listing company nor James Outland shall be responsible for any typographical errors, misinformation, misprints and shall be held totally harmless. The Broker providing this data believes it to be correct, but advises interested parties to confirm any item before relying on it in a purchase decision. Copyright 2026. California Regional Multiple Listing Service. All rights reserved. 6200 Crenshaw BL
Los Angeles, CA










