$37,500
W Avenue F-4
Lancaster, CA, 93536
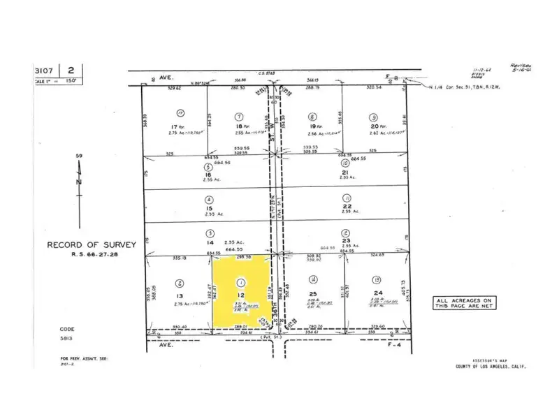
Presenting an exceptional opportunity to acquire a 3.01-acre (131,195 sq. ft.) parcel situated within the Fox Field Specific Plan area of Lancaster, CA. This property is designated for light industrial use, offering a versatile foundation for various industrial developments.
Key Features:
Zoning: Located within the Fox Field Specific Plan, permitting light industrial applications.
Lot Size: Approximately 3.01 acres (131,195 sq. ft.), providing ample space for development.
Topography: Mostly flat terrain, ideal for various industrial uses.
Accessibility: Situated approximately 900 feet south of West Avenue F, a paved road, and about 1.5 miles west of California State Highway 14, ensuring convenient access.
Utilities: Buyer to verify the proximity and availability of utilities with the appropriate agencies.
Key Features:
Zoning: Located within the Fox Field Specific Plan, permitting light industrial applications.
Lot Size: Approximately 3.01 acres (131,195 sq. ft.), providing ample space for development.
Topography: Mostly flat terrain, ideal for various industrial uses.
Accessibility: Situated approximately 900 feet south of West Avenue F, a paved road, and about 1.5 miles west of California State Highway 14, ensuring convenient access.
Utilities: Buyer to verify the proximity and availability of utilities with the appropriate agencies.
Property Details
Price:
$37,500
MLS #:
PW25274375
Status:
Active
Beds:
0
Baths:
0
Type:
Land
Neighborhood:
laclancaster
Listed Date:
Dec 11, 2025
Lot Size:
131,195 sqft / 3.01 acres (approx)
Schools
Interior
Exterior
Community Features
RUR
View
NO
Financial
Get Out There, A Simply Outgoing Approach to Life. James Outland Jr. is one of those rare people who simply has an outgoing approach to life. No matter the activity… from dune buggy riding to skydiving to motorcycling to riding the local Pismo Beach waves… James Outland Jr. approaches life with a “just get out there and do it” kind of attitude. A zest for Life. James’ zest for life is obviously apparent in his many exciting hobbies. In his spare time, he loves riding dune buggies or hi…
More About JamesMortgage Calculator
Map
Community
- AddressW Avenue F-4 Lancaster CA
- CityLancaster
- CountyLos Angeles
- Zip Code93536
Similar Listings Nearby
Property Summary
- W Avenue F-4 Lancaster CA is a Land for sale in Lancaster, CA, 93536. It is listed for $37,500 and features 3 acres. To schedule a showing of MLS#pw25274375 at W Avenue F-4 in Lancaster, CA, contact your James Outland agent at 8057482262.
Courtesy of Jorge Granados, Broker. Disclaimer: All data relating to real estate for sale on this page comes from the Broker Reciprocity (BR) of the California Regional Multiple Listing Service. Detailed information about real estate listings held by brokerage firms other than James Outland include the name of the listing broker. Neither the listing company nor James Outland shall be responsible for any typographical errors, misinformation, misprints and shall be held totally harmless. The Broker providing this data believes it to be correct, but advises interested parties to confirm any item before relying on it in a purchase decision. Copyright 2026. California Regional Multiple Listing Service. All rights reserved. W Avenue F-4
Lancaster, CA




