$70,000
E Ave G Lot 35
Lancaster, CA, 93535
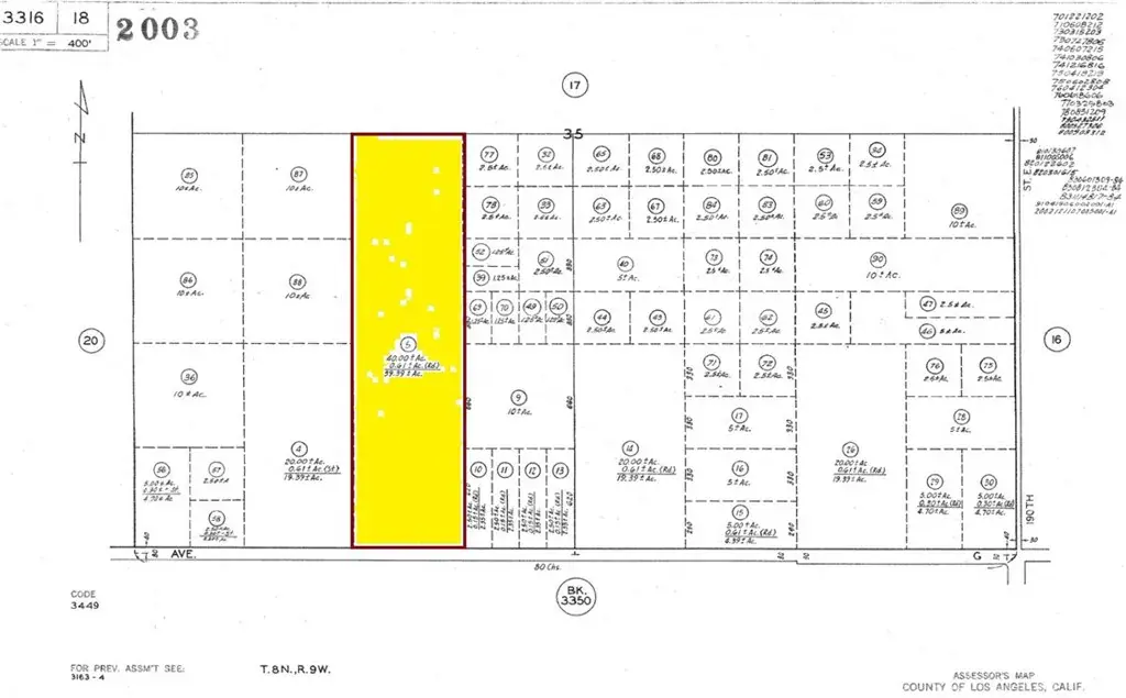
APN: 3316-018-005
Coordinates: 34.735194, -117.804306 39.68
Water and Power Located in Front Of Property
Acres for sale in LA County. This lot is located in Lancaster, CA near the intersection of E Ave G and 180th St E. Large parcel zoned LCA11 agricultural use, per county records. Excellent for agricultural use in a rural area. Electric poles are on the street for future hook up.
Coordinates: 34.735194, -117.804306 39.68
Water and Power Located in Front Of Property
Acres for sale in LA County. This lot is located in Lancaster, CA near the intersection of E Ave G and 180th St E. Large parcel zoned LCA11 agricultural use, per county records. Excellent for agricultural use in a rural area. Electric poles are on the street for future hook up.
Property Details
Price:
$70,000
MLS #:
IV25261830
Status:
Active
Beds:
0
Baths:
0
Type:
Land
Neighborhood:
laclancaster
Listed Date:
Dec 30, 2025
Lot Size:
1,729,019 sqft / 39.69 acres (approx)
Schools
Interior
Exterior
Community Features
RUR
Financial
Get Out There, A Simply Outgoing Approach to Life. James Outland Jr. is one of those rare people who simply has an outgoing approach to life. No matter the activity… from dune buggy riding to skydiving to motorcycling to riding the local Pismo Beach waves… James Outland Jr. approaches life with a “just get out there and do it” kind of attitude. A zest for Life. James’ zest for life is obviously apparent in his many exciting hobbies. In his spare time, he loves riding dune buggies or hi…
More About JamesMortgage Calculator
Map
Community
- AddressE Ave G Lot 35 Lancaster CA
- CityLancaster
- CountyLos Angeles
- Zip Code93535
Similar Listings Nearby
Property Summary
- E Ave G Lot 35 Lancaster CA is a Land for sale in Lancaster, CA, 93535. It is listed for $70,000 and features 40 acres. To schedule a showing of MLS#iv25261830 at E Ave G Lot 35 in Lancaster, CA, contact your James Outland agent at 8057482262.
Courtesy of HOME & LAND SOURCE. Disclaimer: All data relating to real estate for sale on this page comes from the Broker Reciprocity (BR) of the California Regional Multiple Listing Service. Detailed information about real estate listings held by brokerage firms other than James Outland include the name of the listing broker. Neither the listing company nor James Outland shall be responsible for any typographical errors, misinformation, misprints and shall be held totally harmless. The Broker providing this data believes it to be correct, but advises interested parties to confirm any item before relying on it in a purchase decision. Copyright 2026. California Regional Multiple Listing Service. All rights reserved. E Ave G Lot 35
Lancaster, CA



