$20,000
Avenue F Lot 25
Lancaster, CA, 93535
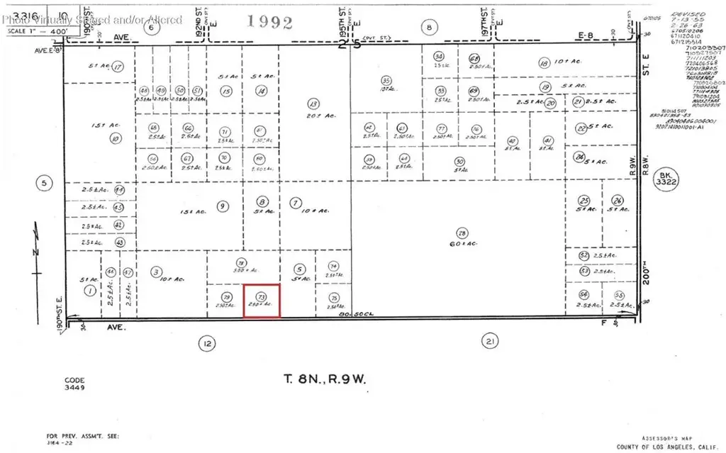
APN: 3316-010-073 Coordinates: 34.749806, -117.786500 2.58 acres for sale in LA County. This property is located in the High Vista area of Lancaster, CA near the corner of 195th St E and E Ave F. Zoning is LCA11, per county records, for agricultural use. Property is located on a marked road not far from other homes. Great location to build a home.
Property Details
Price:
$20,000
MLS #:
IV26020643
Status:
Active
Beds:
0
Baths:
0
Type:
Land
Neighborhood:
laclancaster
Listed Date:
Jan 28, 2026
Lot Size:
112,336 sqft / 2.58 acres (approx)
Schools
Interior
Exterior
Community Features
RUR
View
DE, HI
Financial
Get Out There, A Simply Outgoing Approach to Life. James Outland Jr. is one of those rare people who simply has an outgoing approach to life. No matter the activity… from dune buggy riding to skydiving to motorcycling to riding the local Pismo Beach waves… James Outland Jr. approaches life with a “just get out there and do it” kind of attitude. A zest for Life. James’ zest for life is obviously apparent in his many exciting hobbies. In his spare time, he loves riding dune buggies or hi…
More About JamesMortgage Calculator
Map
Community
- AddressAvenue F Lot 25 Lancaster CA
- CityLancaster
- CountyLos Angeles
- Zip Code93535
Similar Listings Nearby
Property Summary
- Avenue F Lot 25 Lancaster CA is a Land for sale in Lancaster, CA, 93535. It is listed for $20,000 and features 3 acres. To schedule a showing of MLS#iv26020643 at Avenue F Lot 25 in Lancaster, CA, contact your James Outland agent at 8057482262.
Courtesy of HOME & LAND SOURCE. Disclaimer: All data relating to real estate for sale on this page comes from the Broker Reciprocity (BR) of the California Regional Multiple Listing Service. Detailed information about real estate listings held by brokerage firms other than James Outland include the name of the listing broker. Neither the listing company nor James Outland shall be responsible for any typographical errors, misinformation, misprints and shall be held totally harmless. The Broker providing this data believes it to be correct, but advises interested parties to confirm any item before relying on it in a purchase decision. Copyright 2026. California Regional Multiple Listing Service. All rights reserved. Avenue F Lot 25
Lancaster, CA



