$15,000
86 E Avenue I / 86th St E # H10 Lot 11
Lancaster, CA, 93535
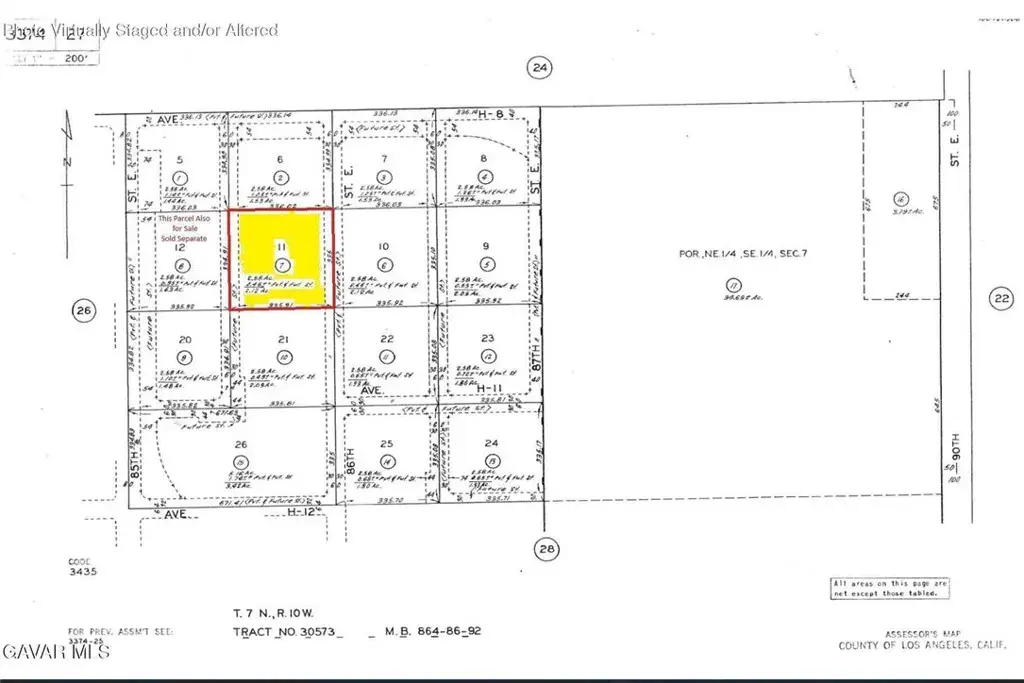
APN: 3374-027-007 Coordinates: 34.710904, -117.976911 2.59 acres for sale in Lancaster, CA. This lot is located near the corner of E Ave I and 90th St E in the Roosevelt area of Lancaster, CA. The adjacent parcel is also for sale APN# 3374-027-008.( Sold Separate)
Property Details
Price:
$15,000
MLS #:
IV26021399
Status:
Active
Beds:
0
Baths:
0
Type:
Land
Neighborhood:
laclancaster
Listed Date:
Jan 29, 2026
Lot Size:
112,738 sqft / 2.59 acres (approx)
Schools
Interior
Exterior
Community Features
RUR
Financial
Get Out There, A Simply Outgoing Approach to Life. James Outland Jr. is one of those rare people who simply has an outgoing approach to life. No matter the activity… from dune buggy riding to skydiving to motorcycling to riding the local Pismo Beach waves… James Outland Jr. approaches life with a “just get out there and do it” kind of attitude. A zest for Life. James’ zest for life is obviously apparent in his many exciting hobbies. In his spare time, he loves riding dune buggies or hi…
More About JamesMortgage Calculator
Map
Community
- Address86 E Avenue I / 86th St E # H10 Lot 11 Lancaster CA
- CityLancaster
- CountyLos Angeles
- Zip Code93535
Similar Listings Nearby
Property Summary
- 86 E Avenue I / 86th St E # H10 Lot 11 Lancaster CA is a Land for sale in Lancaster, CA, 93535. It is listed for $15,000 and features 3 acres. To schedule a showing of MLS#iv26021399 at 86 E Avenue I / 86th St E # H10 Lot 11 in Lancaster, CA, contact your James Outland agent at 8057482262.
Courtesy of HOME & LAND SOURCE. Disclaimer: All data relating to real estate for sale on this page comes from the Broker Reciprocity (BR) of the California Regional Multiple Listing Service. Detailed information about real estate listings held by brokerage firms other than James Outland include the name of the listing broker. Neither the listing company nor James Outland shall be responsible for any typographical errors, misinformation, misprints and shall be held totally harmless. The Broker providing this data believes it to be correct, but advises interested parties to confirm any item before relying on it in a purchase decision. Copyright 2026. California Regional Multiple Listing Service. All rights reserved. 86 E Avenue I / 86th St E # H10 Lot 11
Lancaster, CA




