$700,000
43600 E 7th ST
Lancaster, CA, 93535
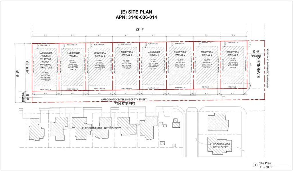
Introducing an exceptional chance to develop in one of Lancaster’s most promising growth areas. This 2.16-acre (94,090 SF) residential parcel, APN: 3140-036-014, zoned LRR1-7000, is perfectly positioned for investors or builders seeking a ready-to-go project with impressive upside.
A Property Survey along with Preliminary Concept Architectural & Design Plans, including subdivision layouts, site studies, and detailed renderings for eight single-family homes on quarter-acre lots, have already been completed by Drury Architects and are available upon request. Much of the upfront planning is done, making this an ideal plug-and-play development opportunity.
The seller has also added value by installing quality fencing around the entire parcel, giving buyers added security, clear boundaries, and reduced prep work ahead of development.
Positioned on a flat, fully-fenced corner lot at Avenue K and 7th Street East, this property boasts approximately 608 feet of frontage on 7th Street East and 154 feet of frontage on Avenue K. With all major utilities already at the street (electricity, water, and sewer), developers benefit from lower infrastructure costs and simplified construction logistics.
Located in the heart of Lancaster and surrounded by established neighborhoods, schools, businesses, and essential services, this parcel sits in a high-demand residential corridor with strong long-term growth.
Whether you’re preparing to build immediately or securing land in a rapidly expanding market, this property delivers both value and vision. Don’t miss the chance to capitalize on a rare development-ready parcel in one of Lancaster’s most sought-after areas!
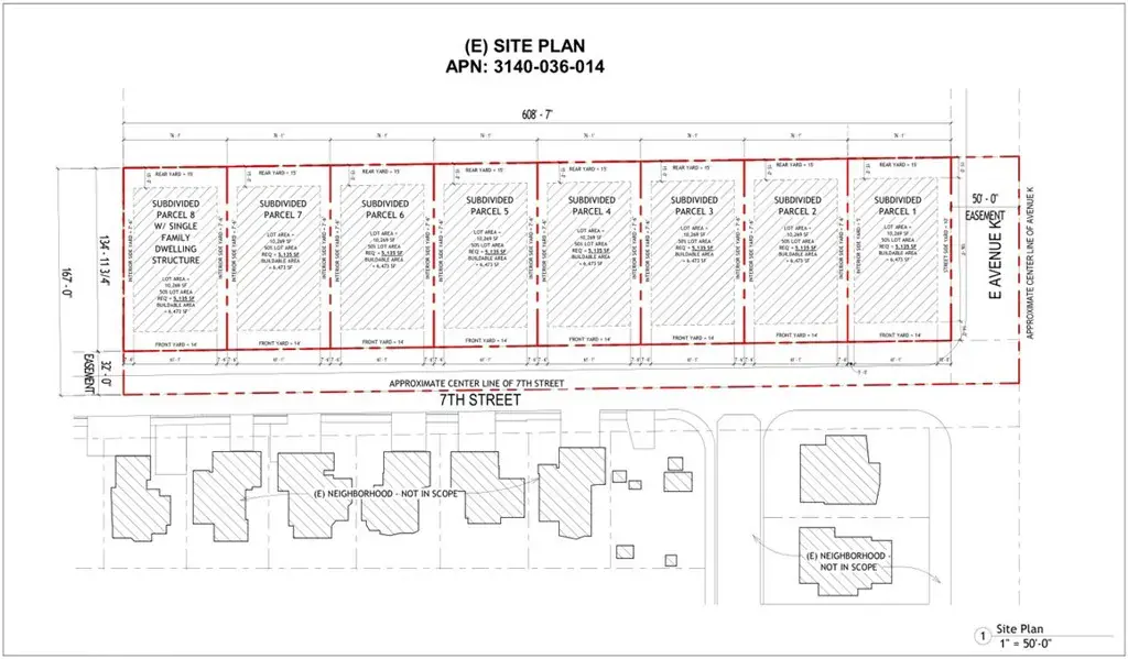
A Property Survey along with Preliminary Concept Architectural & Design Plans, including subdivision layouts, site studies, and detailed renderings for eight single-family homes on quarter-acre lots, have already been completed by Drury Architects and are available upon request. Much of the upfront planning is done, making this an ideal plug-and-play development opportunity.
The seller has also added value by installing quality fencing around the entire parcel, giving buyers added security, clear boundaries, and reduced prep work ahead of development.
Positioned on a flat, fully-fenced corner lot at Avenue K and 7th Street East, this property boasts approximately 608 feet of frontage on 7th Street East and 154 feet of frontage on Avenue K. With all major utilities already at the street (electricity, water, and sewer), developers benefit from lower infrastructure costs and simplified construction logistics.
Located in the heart of Lancaster and surrounded by established neighborhoods, schools, businesses, and essential services, this parcel sits in a high-demand residential corridor with strong long-term growth.
Whether you’re preparing to build immediately or securing land in a rapidly expanding market, this property delivers both value and vision. Don’t miss the chance to capitalize on a rare development-ready parcel in one of Lancaster’s most sought-after areas!
Property Details
Price:
$700,000
MLS #:
OC25270013
Status:
Active
Beds:
0
Baths:
0
Type:
Land
Neighborhood:
laclancaster
Listed Date:
Dec 3, 2025
Lot Size:
94,090 sqft / 2.16 acres (approx)
Schools
Interior
Exterior
Community Features
SDW, SL, SUB
View
CI, DE, HI, MT, SEE
Financial
Taxes
$2,001
Get Out There, A Simply Outgoing Approach to Life. James Outland Jr. is one of those rare people who simply has an outgoing approach to life. No matter the activity… from dune buggy riding to skydiving to motorcycling to riding the local Pismo Beach waves… James Outland Jr. approaches life with a “just get out there and do it” kind of attitude. A zest for Life. James’ zest for life is obviously apparent in his many exciting hobbies. In his spare time, he loves riding dune buggies or hi…
More About JamesMortgage Calculator
Map
Community
- Address43600 E 7th ST Lancaster CA
- CityLancaster
- CountyLos Angeles
- Zip Code93535
Similar Listings Nearby
Property Summary
- 43600 E 7th ST Lancaster CA is a Land for sale in Lancaster, CA, 93535. It is listed for $700,000 and features 2 acres. To schedule a showing of MLS#oc25270013 at 43600 E 7th ST in Lancaster, CA, contact your James Outland agent at 8057482262.
Courtesy of Nexus Commercial. Disclaimer: All data relating to real estate for sale on this page comes from the Broker Reciprocity (BR) of the California Regional Multiple Listing Service. Detailed information about real estate listings held by brokerage firms other than James Outland include the name of the listing broker. Neither the listing company nor James Outland shall be responsible for any typographical errors, misinformation, misprints and shall be held totally harmless. The Broker providing this data believes it to be correct, but advises interested parties to confirm any item before relying on it in a purchase decision. Copyright 2026. California Regional Multiple Listing Service. All rights reserved. 43600 E 7th ST
Lancaster, CA






































