$12,900
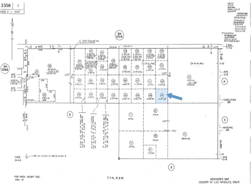
147th St E vicinity Capleton Dr (Ave G4) Lot 6
Lancaster, CA, 93535
Scenic east-side parcel with versatile A-2 zoning! This affordable property has a recently completed Certificate of Compliance, saving you money and time for future development. Views of the valley stretching to the San Gabriels, and iconic Joshua tree specimens make for an attractive desert setting. This level parcel is located just over 1000′ feet south of paved Avenue G and the nearest electricity. The land is in the Antelope Valley Significant Ecological Area, so please do your due diligence with LA County regarding your development plans. A nice buy! *Buyer to make their own independent investigations regarding Zoning & General Plan Designations, Environmental & Hazard Zones, Access & Development Costs, Availability & Costs of Utilities.
Property Details
Price:
$12,900
MLS #:
SR25259975
Status:
Active
Beds:
0
Baths:
0
Type:
Land
Neighborhood:
laclancaster
Listed Date:
Nov 13, 2025
Lot Size:
111,949 sqft / 2.57 acres (approx)
Schools
Interior
Exterior
Community Features
RUR
Financial
Get Out There, A Simply Outgoing Approach to Life. James Outland Jr. is one of those rare people who simply has an outgoing approach to life. No matter the activity… from dune buggy riding to skydiving to motorcycling to riding the local Pismo Beach waves… James Outland Jr. approaches life with a “just get out there and do it” kind of attitude. A zest for Life. James’ zest for life is obviously apparent in his many exciting hobbies. In his spare time, he loves riding dune buggies or hi…
More About JamesMortgage Calculator
Map
Community
- Address147th St E vicinity Capleton Dr (Ave G4) Lot 6 Lancaster CA
- CityLancaster
- CountyLos Angeles
- Zip Code93535
Similar Listings Nearby
Property Summary
- 147th St E vicinity Capleton Dr (Ave G4) Lot 6 Lancaster CA is a Land for sale in Lancaster, CA, 93535. It is listed for $12,900 and features 3 acres. To schedule a showing of MLS#sr25259975 at 147th St E vicinity Capleton Dr (Ave G4) Lot 6 in Lancaster, CA, contact your James Outland agent at 8057482262.
Courtesy of Big Valley Real Estate. Disclaimer: All data relating to real estate for sale on this page comes from the Broker Reciprocity (BR) of the California Regional Multiple Listing Service. Detailed information about real estate listings held by brokerage firms other than James Outland include the name of the listing broker. Neither the listing company nor James Outland shall be responsible for any typographical errors, misinformation, misprints and shall be held totally harmless. The Broker providing this data believes it to be correct, but advises interested parties to confirm any item before relying on it in a purchase decision. Copyright 2026. California Regional Multiple Listing Service. All rights reserved. 147th St E vicinity Capleton Dr (Ave G4) Lot 6
Lancaster, CA























