$100,000
McGrew DR Lot 177
Lake Elsinore, CA, 92530
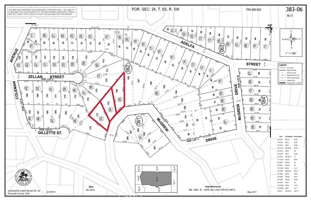
RARE LOCATION | LAKE VIEWS | DEVELOPMENT OPPORTUNITY | Unlock an exceptional opportunity in the heart of Lake Elsinore with this rare offering of three contiguous parcels (APN: 383062003, 383062004, 383062005), perfectly positioned to capture stunning lake views and endless potential. Zoned R-1, this combined property presents an ideal canvas for builders, developers, or investors looking to create a thoughtfully designed residential project in a rapidly growing area. Perched to take advantage of scenic vistas, the land offers the chance to design homes that embrace the natural beauty of Lake Elsinore, delivering the lifestyle today’s buyers are seeking—peaceful surroundings paired with convenient access to everyday amenities. While no road access currently or utilities at site, utilities and roads are nearby, helping streamline the development process and making this an even more compelling investment. The Plat Map envisions an extension to the existing McGrew Drive with road frontage for all 3 lots. Located just minutes from local schools, parks, shopping centers, and recreational opportunities at the lake, future residents will enjoy both comfort and convenience. With the Lake Elsinore Outlets approximately 7 miles away, dining, retail, and entertainment are always within easy reach. Whether you envision building custom homes, spec properties, or securing land in a high-demand growth corridor, this offering stands out as a truly rare development opportunity. Don’t miss your chance to bring your vision to life in one of Southern California’s most up-and-coming communities.
Property Details
Price:
$100,000
MLS #:
IG26066619
Status:
Active
Beds:
0
Baths:
0
Type:
Land
Neighborhood:
699notdefined
Listed Date:
Apr 6, 2026
Lot Size:
27,443 sqft / 0.63 acres (approx)
Schools
Interior
Exterior
Community Features
HIKI
Fencing
NO
View
CI, HI, LA, MT, PA, TW, NE
Financial
Get Out There, A Simply Outgoing Approach to Life. James Outland Jr. is one of those rare people who simply has an outgoing approach to life. No matter the activity… from dune buggy riding to skydiving to motorcycling to riding the local Pismo Beach waves… James Outland Jr. approaches life with a “just get out there and do it” kind of attitude. A zest for Life. James’ zest for life is obviously apparent in his many exciting hobbies. In his spare time, he loves riding dune buggies or hi…
More About JamesMortgage Calculator
Map
Current real estate data for Land in Lake Elsinore as of Apr 12, 2026
341
Land Listed
223
Avg DOM
$350,311
Avg List Price
Community
- AddressMcGrew DR Lot 177 Lake Elsinore CA
- CityLake Elsinore
- CountyRiverside
- Zip Code92530
Similar Listings Nearby
Property Summary
- McGrew DR Lot 177 Lake Elsinore CA is a Land for sale in Lake Elsinore, CA, 92530. It is listed for $100,000 and features 1 acres. To schedule a showing of MLS#ig26066619 at McGrew DR Lot 177 in Lake Elsinore, CA, contact your James Outland agent at 8057482262.
Courtesy of Keller Williams Realty. Disclaimer: All data relating to real estate for sale on this page comes from the Broker Reciprocity (BR) of the California Regional Multiple Listing Service. Detailed information about real estate listings held by brokerage firms other than James Outland include the name of the listing broker. Neither the listing company nor James Outland shall be responsible for any typographical errors, misinformation, misprints and shall be held totally harmless. The Broker providing this data believes it to be correct, but advises interested parties to confirm any item before relying on it in a purchase decision. Copyright 2026. California Regional Multiple Listing Service. All rights reserved. McGrew DR Lot 177
Lake Elsinore, CA


















