$1,500,000
29489 3rd
Lake Elsinore, CA, 92532
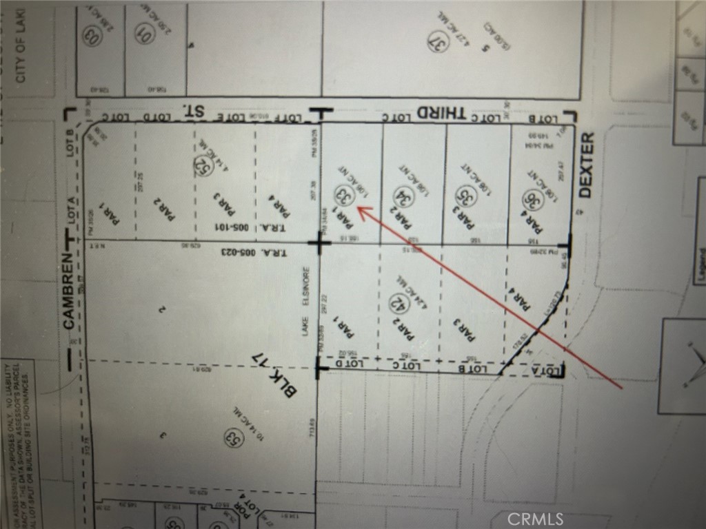
Location Location Location . Value in Land .1 acre with a manufactured home / Home is a major fixer and selling AS – IS /. Chapter 17.134 . CMU Commercial Mixed Use District. Permitted use: Apartments , Row housing , townhomes , Supportive housing , Food establishment, Financial , Live and work unit , Medical office , Professional offices, Parking facility, Retail , side walk vendors , Cartaker quarters , Bed and breakfast and more . Other use subject to CUP : Animal Hospital , Bar / PUB / Lounge , Card room , Catering services , Day Care , Condominium complex, Massage establishment , Assembly use ,Residential care facility and more . Temporaty TUP : Open air market. This property is next to LA fitness, Super walmart, In and out burger , Douglas burger, Costco, Home Depot, Lowes and more . Easy on and off the 15 Freeways at main street , central or other exits .See Remarks a
Property Details
Price:
$1,500,000
MLS #:
SW26062609
Status:
Active
Beds:
3
Baths:
2
Type:
Single Family
Subtype:
Manufactured On Land
Neighborhood:
srcarsouthwestriversidecounty
Listed Date:
Mar 27, 2026
Finished Sq Ft:
1,344
Lot Size:
46,174 sqft / 1.06 acres (approx)
Year Built:
1984
Schools
School District:
Lake Elsinore Unified
Interior
Bathrooms
2 Full Bathrooms
Cooling
NO
Heating
NO
Laundry Features
AR
Levels
A
Main Level Bathrooms
1
Main Level Bedrooms
1
Exterior
Accessibility Features
NO
Common Walls
NCW
Community Features
BLM, FHL, HRS, GOLF, LAKE, PARK, FISH, WATE, HIKI, BIKI, DGP
View
NO
Financial
Get Out There, A Simply Outgoing Approach to Life. James Outland Jr. is one of those rare people who simply has an outgoing approach to life. No matter the activity… from dune buggy riding to skydiving to motorcycling to riding the local Pismo Beach waves… James Outland Jr. approaches life with a “just get out there and do it” kind of attitude. A zest for Life. James’ zest for life is obviously apparent in his many exciting hobbies. In his spare time, he loves riding dune buggies or hi…
More About JamesMortgage Calculator
Map
Current real estate data for Single Family in Lake Elsinore as of Apr 06, 2026
296
Single Family Listed
61
Avg DOM
296
Avg $ / SqFt
$584,022
Avg List Price
Community
- Address29489 3rd Lake Elsinore CA
- CityLake Elsinore
- CountyRiverside
- Zip Code92532
Similar Listings Nearby
Property Summary
- 29489 3rd Lake Elsinore CA is a Single Family for sale in Lake Elsinore, CA, 92532. It is listed for $1,500,000 and features 3 beds, 2 baths, and has approximately 1,344 square feet of living space, and was originally constructed in 1984. The current price per square foot is $1,116. The average price per square foot for Single Family listings in Lake Elsinore is $296. The average listing price for Single Family in Lake Elsinore is $584,022. To schedule a showing of MLS#sw26062609 at 29489 3rd in Lake Elsinore, CA, contact your James Outland agent at 8057482262.
Courtesy of Coldwell Banker Realty. Disclaimer: All data relating to real estate for sale on this page comes from the Broker Reciprocity (BR) of the California Regional Multiple Listing Service. Detailed information about real estate listings held by brokerage firms other than James Outland include the name of the listing broker. Neither the listing company nor James Outland shall be responsible for any typographical errors, misinformation, misprints and shall be held totally harmless. The Broker providing this data believes it to be correct, but advises interested parties to confirm any item before relying on it in a purchase decision. Copyright 2026. California Regional Multiple Listing Service. All rights reserved. 29489 3rd
Lake Elsinore, CA









