Mojave Barstow 58 HY Lot 2 Kramer Junction CA 92347 MLS #SR23224448

Mojave Barstow 58 HY Lot 2
Kramer Junction, CA, 92347
$19,500
Beds
0 Baths
0 SqFt
1.67 Acres
$19,500
Mojave Barstow 58 HY Lot 2
Kramer Junction, CA, 92347
MLS #SR23224448 image #0
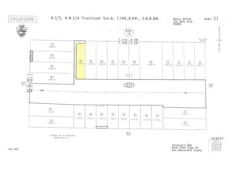
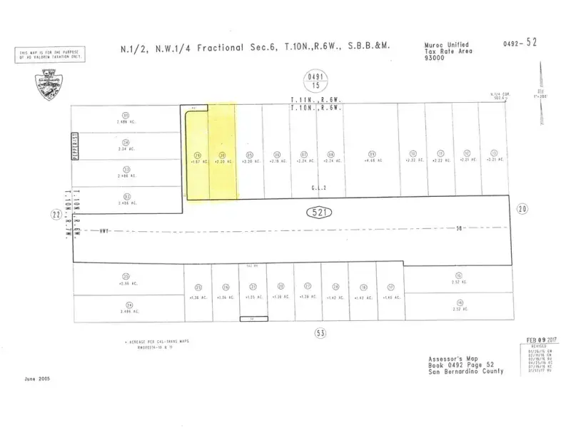
1.67 acres (134’X534′) located on Salton Road at North west of the intersection of 395 Highway and 58 Highway in Kramer Junction close to all the stores on 395 and Old Highway 58. Located along the north side of Highway 58. Easy commute into neighboring cities including Boron, Barstow and Adelanto. Close to Edwards Air Force Base.
Property next door (APN: 0492-521-30) can also be purchased together with the subject property. Seller may consider just selling 1 lot only.
There is not an address associated with these parcels. Located in the Kramer Junction area which is Unincorporated San Bernardino County.
Please use the following GPS coordinates to locate the property: 34.997921 -117.559272

Property Details

Price:
$19,500
MLS #:
SR23224448
Status:
Active
Beds:
0
Baths:
0
Type:
Land
Neighborhood:
kjctkramerjunction
Listed Date:
Dec 11, 2023
Lot Size:
72,745 sqft / 1.67 acres (approx)
Kjct – Kramer JunctionKjctkramerjunctionPasture

Schools

Interior

Exterior

Community Features
RUR, SUB
View
DE, PAS

Financial

Lease Land Amount
$1,000
Lease Land Frequency
MO
Need more info?
Ask a Question
Ready to go see it?
Schedule a Showing

Get Out There, A Simply Outgoing Approach to Life. James Outland Jr. is one of those rare people who simply has an outgoing approach to life. No matter the activity… from dune buggy riding to skydiving to motorcycling to riding the local Pismo Beach waves… James Outland Jr. approaches life with a “just get out there and do it” kind of attitude. A zest for Life. James’ zest for life is obviously apparent in his many exciting hobbies. In his spare time, he loves riding dune buggies or hi…

More About James

Mortgage Calculator

 

Map

Current real estate data for Land in Kramer Junction as of Apr 06, 2026
25
Land Listed
580
Avg DOM
$110,416
Avg List Price

Community

Similar Listings Nearby

broker reciprocity
MLS# PW26058119broker reciprocity
20 Mule Team RD
Boron, CA

$19,000

0.3 miles away

broker reciprocity
MLS# PW26058161broker reciprocity
20 Mule Team RD
Boron, CA

$14,000

0.4 miles away

broker reciprocity
MLS# HD25275470broker reciprocity
49253112 Twenty Mule Team RD
Kramer Junction, CA

$11,990

0.3 miles away

Property Summary

    Mojave Barstow 58 HY Lot 2 Kramer Junction CA is a Land for sale in Kramer Junction, CA, 92347. It is listed for $19,500 and features 2 acres. To schedule a showing of MLS#sr23224448 at Mojave Barstow 58 HY Lot 2 in Kramer Junction, CA, contact your James Outland agent at 8057482262.
Mojave Barstow 58 HY Lot 2
Kramer Junction, CA
Scroll to Top