$12,500
20554 E H-8 AV
Hi Vista, CA, 93535
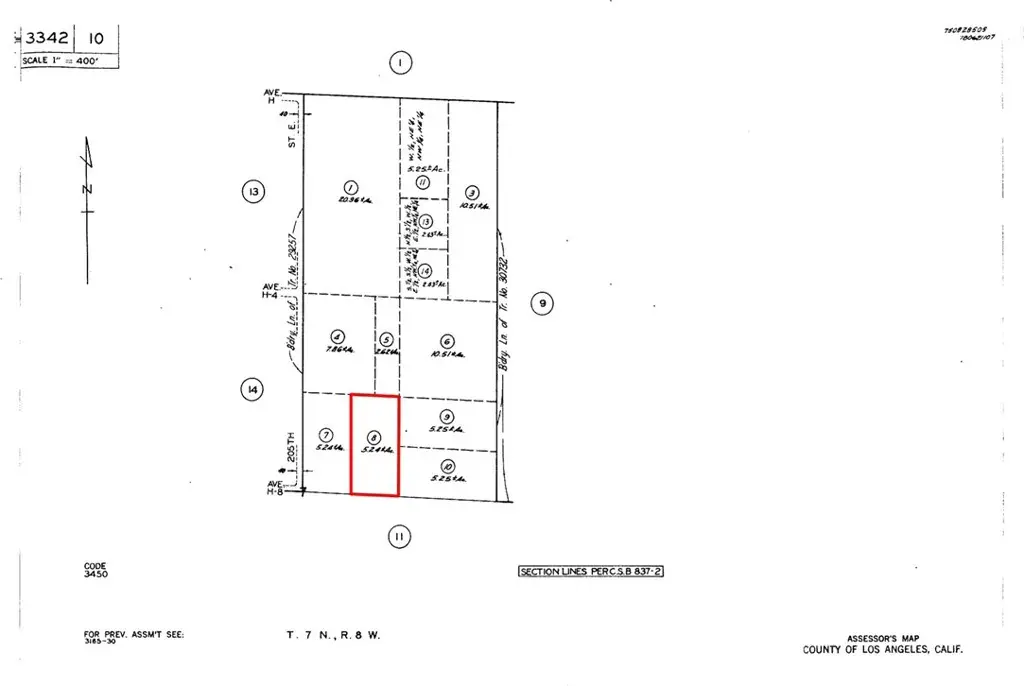
Discover 5.24 sprawling acres in the peaceful Hi Vista area of Lancaster—an ideal opportunity for anyone seeking wide-open space, natural beauty, and future potential. This rectangular parcel, APN: 3342-010-008, Los Angeles County, offers approximately 334 feet of frontage on East Avenue H-8 and sits just off 205th Street East, providing convenient dirt-road access while maintaining the quiet seclusion the High Desert is known for.
Surrounded by panoramic desert and mountain views, this property is also located near the Butte Valley Wildflower area, where vibrant seasonal blooms paint the landscape each spring. Whether you’re looking for a recreational escape, a long-term investment, or a future homesite, this parcel delivers the serene environment and expansive setting that Hi Vista is admired for.
A great opportunity to own your own piece of the Antelope Valley so come explore the possibilities today by using the neighbor’s address, 20211 E Avenue H-12, Lancaster, CA 93535, then use the Southwest corner GPS coordinates: 34.712445, -117.764124.
Surrounded by panoramic desert and mountain views, this property is also located near the Butte Valley Wildflower area, where vibrant seasonal blooms paint the landscape each spring. Whether you’re looking for a recreational escape, a long-term investment, or a future homesite, this parcel delivers the serene environment and expansive setting that Hi Vista is admired for.
A great opportunity to own your own piece of the Antelope Valley so come explore the possibilities today by using the neighbor’s address, 20211 E Avenue H-12, Lancaster, CA 93535, then use the Southwest corner GPS coordinates: 34.712445, -117.764124.
Property Details
Price:
$12,500
MLS #:
OC25269380
Status:
Active
Beds:
0
Baths:
0
Type:
Land
Neighborhood:
699notdefined
Listed Date:
Dec 2, 2025
Lot Size:
228,185 sqft / 5.24 acres (approx)
Schools
Interior
Exterior
Community Features
RUR
View
RK, SEE
Financial
Get Out There, A Simply Outgoing Approach to Life. James Outland Jr. is one of those rare people who simply has an outgoing approach to life. No matter the activity… from dune buggy riding to skydiving to motorcycling to riding the local Pismo Beach waves… James Outland Jr. approaches life with a “just get out there and do it” kind of attitude. A zest for Life. James’ zest for life is obviously apparent in his many exciting hobbies. In his spare time, he loves riding dune buggies or hi…
More About JamesMortgage Calculator
Map
Community
- Address20554 E H-8 AV Hi Vista CA
- CityHi Vista
- CountyLos Angeles
- Zip Code93535
Similar Listings Nearby
Property Summary
- 20554 E H-8 AV Hi Vista CA is a Land for sale in Hi Vista, CA, 93535. It is listed for $12,500 and features 5 acres. To schedule a showing of MLS#oc25269380 at 20554 E H-8 AV in Hi Vista, CA, contact your James Outland agent at 8057482262.
Courtesy of Nexus Commercial. Disclaimer: All data relating to real estate for sale on this page comes from the Broker Reciprocity (BR) of the California Regional Multiple Listing Service. Detailed information about real estate listings held by brokerage firms other than James Outland include the name of the listing broker. Neither the listing company nor James Outland shall be responsible for any typographical errors, misinformation, misprints and shall be held totally harmless. The Broker providing this data believes it to be correct, but advises interested parties to confirm any item before relying on it in a purchase decision. Copyright 2026. California Regional Multiple Listing Service. All rights reserved. 20554 E H-8 AV
Hi Vista, CA




































