$1,675,000
Oak Creek Rd Phase 1
El Cajon, CA, 92021
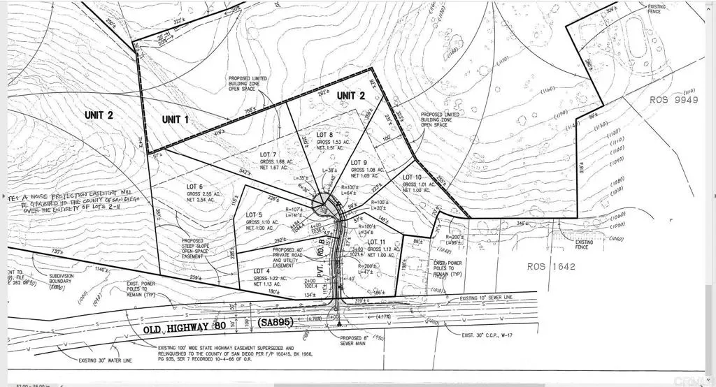
Phase 1 approved map approx 59 acres consisting of lots 12-20. 2+ acre lots seller completed and recorded this 9 lot subdivision Dec 2023. Paid the approx $725k bond for cost of improvements adding a cul-de-sac. Then you will have 9 aprrox value $500-550k lots that you can sell quickly or build out spec homes. Grading for individual lots can be done by new owners along with cost for septic + water meters. Beautiful home site currently for estate home with views!
Property Details
Price:
$1,675,000
MLS #:
PTP2602025
Status:
Active
Beds:
0
Baths:
0
Type:
Land
Neighborhood:
92021elcajon
Listed Date:
Mar 17, 2026
Lot Size:
4,486,680 sqft / 103.00 acres (approx)
Schools
Interior
Exterior
Community Features
MTN
View
MT
Financial
Get Out There, A Simply Outgoing Approach to Life. James Outland Jr. is one of those rare people who simply has an outgoing approach to life. No matter the activity… from dune buggy riding to skydiving to motorcycling to riding the local Pismo Beach waves… James Outland Jr. approaches life with a “just get out there and do it” kind of attitude. A zest for Life. James’ zest for life is obviously apparent in his many exciting hobbies. In his spare time, he loves riding dune buggies or hi…
More About JamesMortgage Calculator
Map
Community
- AddressOak Creek Rd Phase 1 El Cajon CA
- CityEl Cajon
- CountySan Diego
- Zip Code92021
Similar Listings Nearby
Property Summary
- Oak Creek Rd Phase 1 El Cajon CA is a Land for sale in El Cajon, CA, 92021. It is listed for $1,675,000 and features 103 acres. To schedule a showing of MLS#ptp2602025 at Oak Creek Rd Phase 1 in El Cajon, CA, contact your James Outland agent at 8057482262.
Courtesy of Coldwell Banker West. Disclaimer: All data relating to real estate for sale on this page comes from the Broker Reciprocity (BR) of the California Regional Multiple Listing Service. Detailed information about real estate listings held by brokerage firms other than James Outland include the name of the listing broker. Neither the listing company nor James Outland shall be responsible for any typographical errors, misinformation, misprints and shall be held totally harmless. The Broker providing this data believes it to be correct, but advises interested parties to confirm any item before relying on it in a purchase decision. Copyright 2026. California Regional Multiple Listing Service. All rights reserved. Oak Creek Rd Phase 1
El Cajon, CA


































