$6,000,000
1717 Via Del Rio AV
Corona, CA, 92882
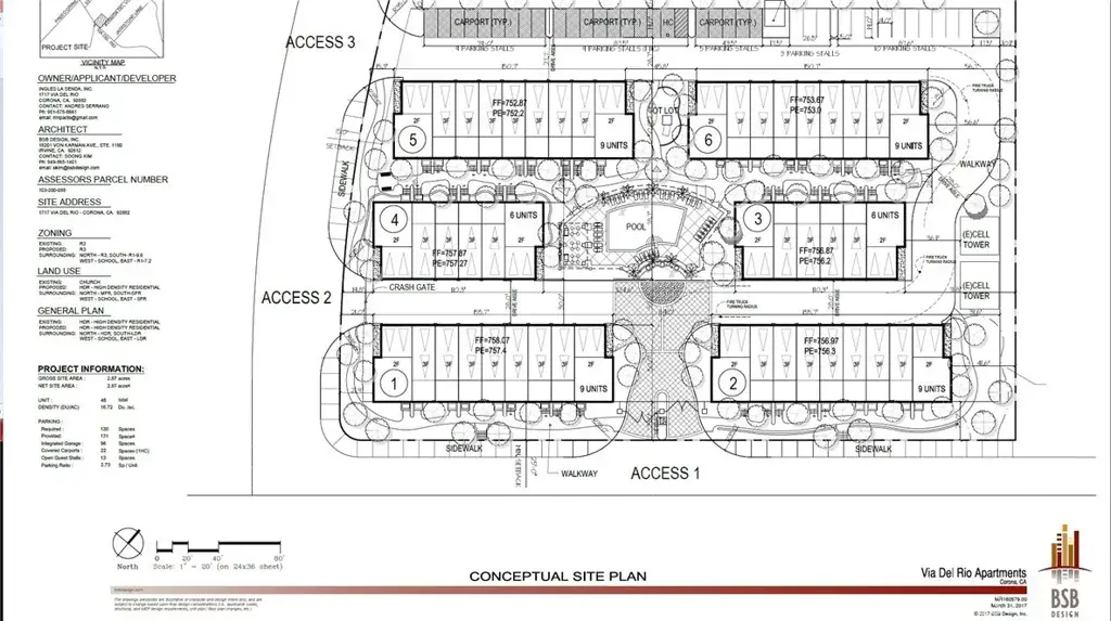
****Land development opportunity located in the booming city of Corona, CA. Currently being conditionally used as a Church, the almost 3 acres is zoned R-3 Multi-Family allowing for up to 82 units. The parcel is located only a few blocks from the 91 FWY, and minutes from Interstate 15. Tentative Tract Map # 37314 underway with city planning department, proposing 48 Townhouses with the potential to generate lucrative cap rates. In addition plans have been proposed to build 82 apartment units, adding even more possibilities for the site. Adjacent to an elementary school, and an already existing apartment complex, it makes sense for this site to live up to its full potential. Several residential projects have been completed in the area. Investors started cash flowing with greater than expected interest from buyers/tenants. A development opportunity like this is definitely worth some consideration. Come VIEW and make an OFFER TODAY ****
Property Details
Price:
$6,000,000
MLS #:
485106
Status:
Pending
Beds:
0
Baths:
0
Type:
Land
Listed Date:
Jun 27, 2023
Lot Size:
122,839 sqft / 2.82 acres (approx)
Schools
Interior
Exterior
Community Features
CRB, CW
View
CI
Financial
Get Out There, A Simply Outgoing Approach to Life. James Outland Jr. is one of those rare people who simply has an outgoing approach to life. No matter the activity… from dune buggy riding to skydiving to motorcycling to riding the local Pismo Beach waves… James Outland Jr. approaches life with a “just get out there and do it” kind of attitude. A zest for Life. James’ zest for life is obviously apparent in his many exciting hobbies. In his spare time, he loves riding dune buggies or hi…
More About JamesMortgage Calculator
Map
Community
- Address1717 Via Del Rio AV Corona CA
- CityCorona
- CountyRiverside
- Zip Code92882
Similar Listings Nearby
Property Summary
- 1717 Via Del Rio AV Corona CA is a Land for sale in Corona, CA, 92882. It is listed for $6,000,000 and features 3 acres. To schedule a showing of MLS#485106 at 1717 Via Del Rio AV in Corona, CA, contact your James Outland agent at 8057482262.
Courtesy of Coldwell Banker Home Source. Disclaimer: All data relating to real estate for sale on this page comes from the Broker Reciprocity (BR) of the California Regional Multiple Listing Service. Detailed information about real estate listings held by brokerage firms other than James Outland include the name of the listing broker. Neither the listing company nor James Outland shall be responsible for any typographical errors, misinformation, misprints and shall be held totally harmless. The Broker providing this data believes it to be correct, but advises interested parties to confirm any item before relying on it in a purchase decision. Copyright 2026. California Regional Multiple Listing Service. All rights reserved. 1717 Via Del Rio AV
Corona, CA































